

CONTENT
APPENDIX
|
- |
||
|
- |
This Construction Works Schedule and Location Plans details the construction works programme and location plans of Works to be deployed by Build King – Richwell Civil Joint Venture (BKRCJV) during the construction of the Contract No. NL/2020/05 Tung Chung New Town Extension – Site Formation and Infrastructure Works at Ma Wan Chung.
The Environmental Impact Assessment (EIA) Report (Register No.: AEIAR-196/2016) prepared for the "Tung Chung New Town Extension" (the project) has been approved by the Director of Environmental Protection, and an Environmental Permit (Permit No.: EP- 519/2016) has been issued for the project under the Environmental Impact Assessment Ordinance. Pursuant to Condition 2.12 of the Environmental Permit (EP), BKRCJV is required to formulate and deposit a Construction Works Schedule and Location Plans for the Works.
The works mainly comprise:
(i) Site clearance (including, but not limited to, the demolition of the existing building structures);
(ii) Site formation works for Area 23 with associated geotechnical works;
(iii) Widening of Tung Chung Road North with associated geotechnical works;
(iv) Construction of carpark at Ma Wan Chung, and associated road works and geotechnical works;
(v) Carry out road improvement works and drainage works at Chung Yan Road;
(vi) Construction of open space at Tung Chung Area 29A and the coastal pedestrian access;
(vii) Renovation works of existing site offices and promenade improvement works;
(viii) Yard Waste Disposal and Treatment;
(ix) Ground investigation, geotechnical and building instrumentation monitoring works;
(x) Associated civil, geotechnical, structural, building services systems, electrical and mechanical engineering and landscaping works; and
(xi) Implementation of environmental mitigation measures, environmental monitoring and audit programme for the works mentioned above.
The Contract No. NL/2020/05 has been awarded in May 2021 for completion in 2025, details as per Initial Works programme showing the key dates of major works activities in Appendix 1. It is anticipated that major construction work is scheduled to complete within Year 2025, whereas only landscape related establishment work will be involved in Year 2026.
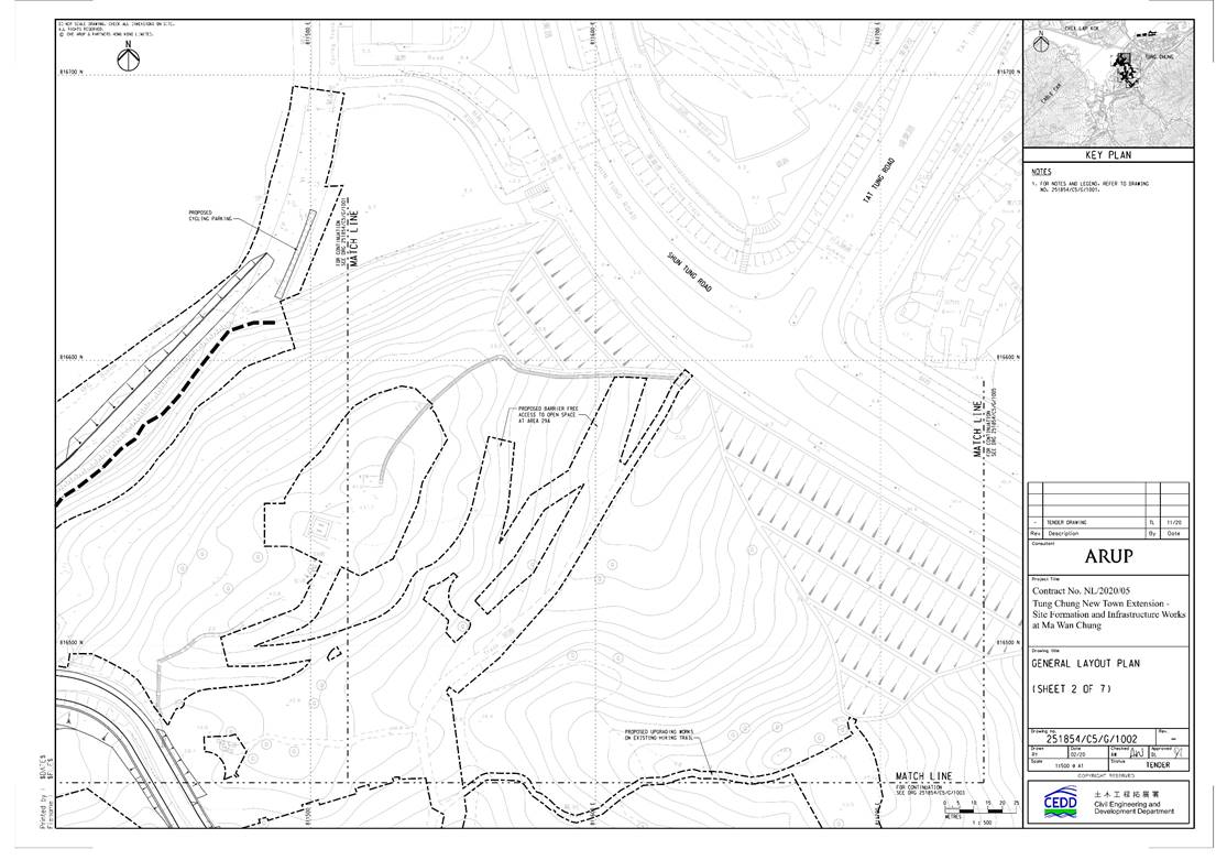
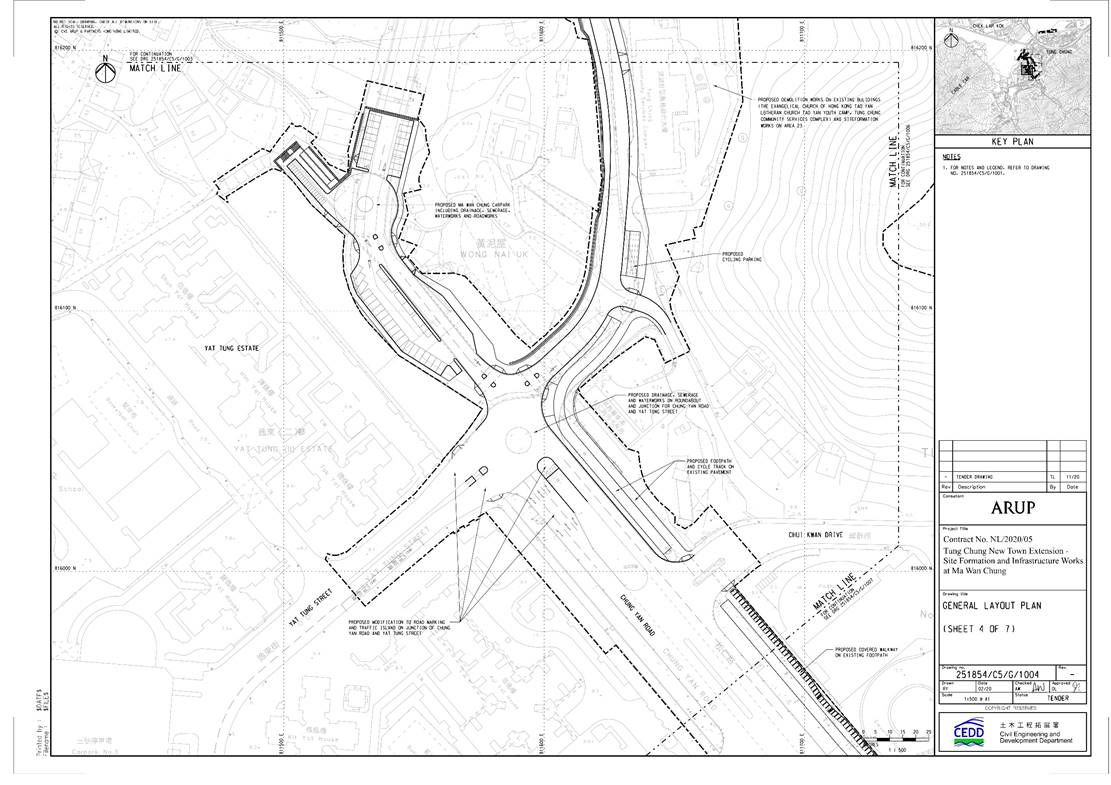
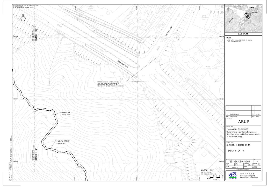
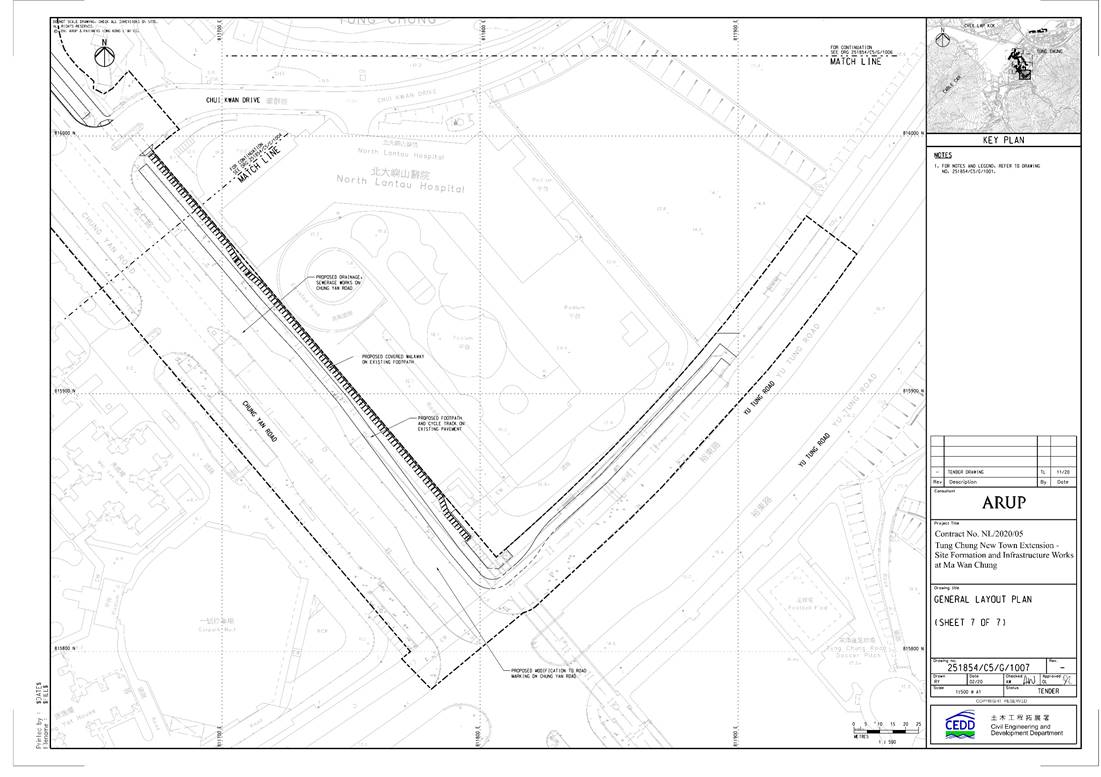
The Location Plans for Works are provided in Appendix 2.
Programme for Key Dates of Major Works Activities

LOCATION PLANS OF THE WORKS







